Eladó Ház, Nyársapát

Ingatlan azonosító: HI-2539597

Pest megye - Nyársapát, Vályogház


42 000 000 Ft (118 310 €)

  • Hirdetés feladója: Ingatlaniroda
  • Pontos cím: Nyársapát
  • Típus: Eladó
  • Belső irodai azonosító: M322739-5155104
  • Alapterület: 70 m²
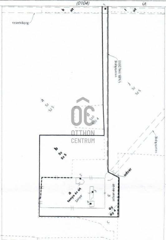
  • Telekterület: 1 114 m² ( 310 négyszögöl )
  • Építés éve: 1987
  • Egész szobák száma (12 m² felett): 2 db
  • Félszobák száma (6-12 m² között): 1 db
  • Ingatlan állapota: közepes állapotú
  • Komfort: összkomfortos
  • Fűtés: egyéb
  • Pince: nincs
  • Akadálymentesített: nincs
  • Napelem van?: nincs
  • Légkondicionáló: nincs

Leírás

Pest vármegye, Nyársapát faluközpont közelében költözhető állapotú családi ház Kiknek ajánljuk? Mindazoknak, akik a nagyvárosok (Kecskemét, Cegléd vagy Nagykőrös) közelében, mégis csendes, nyugodt településen teremtenének otthont maguknak. Alapvető paraméterek: - Hasznos alapterület: 70 m2 - Telekméret: 1114 m2 - Szobák száma: 3 - Épület állapota: átlagos, költözhető Műszaki tartalom: - Épület szerkezete: vályog falazat, beton alap - Építés éve: 1987 - Közművek: viz, villany és csatorna a házba bevezetve, hálózati gáz a telken belül - Fűtés típusa: vegyestüzelésű kazán, radiátorokkal - Helyiségek: 2 szoba, félszoba konyha/étkező, fürdőszoba (WC-vel), közlekedő és kamra - Melléképületek: 27 m2 külön lakrésznek kaialkithatő helyiség, garázs és kazánház - Extra műszaki tartalom: fúrt kút Elhelyezkedés, infrastruktúra: - Tömegközlekedés: autóbusz Ceglédre és Nagykőrösre, megálló 200 m, vonat a Budapest-Cegléd-Kecskemét-Szeged vonalon, megálló 700 m - Infrastruktúra: a faluközpont 500 m távolságra fekszik, ahol a mindennapi élethez szükséges szolgáltatók megtalálhatók - Közeli városok: Cegléd 9 km, Nagykőrös 10 km, Budapest 85 km, Kecskemét 21 km A vásárlás finanszírozásában az OTP kedvező hitelkonstrukcióival, CSOK és a támogatott hitel lehetőségével, vagy akár a babaváró hitel ilyen célra történő felhasználásával tud segíteni. Használja ki a lehetőséget, hogy kedvezőbb kamatozású OTP Bank hitelhez juthat, ha az OTP Ingatlanpont kínálatából vásárol. Ingatlant kereső ügyfeleink részére szolgáltatásaink és az ingatlanvásárlással, ingatlan felújítással kapcsolatos hitel ügyintézése ingyenes. Az adás-vétel lebonyolításához korrekt ügyvédi közreműködést tudunk ajánlani. Érdeklődés esetén várom hívását akár hétvégén is! Energetikai tanúsitvány nem áll rendelkezésre, elkészitése folymatban van. Az energetikai tanúsítvány készítése folyamatban van, amint rendelkezésre áll, úgy azzal a hirdetés frissítésre kerül.

E-mail küldése a hirdetőnek

Hibás hirdetés bejelentése

Sikeres elküldtük a hiba bejelentést.

Hirdető adatai

Varga Zoltán
E-mail cím: zoltan.varga@otpip.hu
Telefonszám: +36-70-459-4589
OTPip
Hirdetés feladója: Ingatlaniroda
Ingatlaniroda: OTPip
E-mail cím: szolnok@otpip.hu
Telefonszám: +36-70-708-2418

Képek



Térkép


Ajánlott ingatlanok

Vályogház

Eladó Ház, Újszilvás

Keresés azonosító alapján: HI-2562868
  • Újszilvás
  • Alapterület: 57 m²
  • Telekterület: 4 291 m²
  • Ár: 9 500 000 Ft (26 761 €)
  • Feltöltés dátuma: 2026.04.18.
  •  
Vályogház

Eladó Ház, Ceglédbercel

Keresés azonosító alapján: HI-2449475
  • Ceglédbercel
  • Alapterület: 150 m²
  • Telekterület: 1 914 m²
  • Ár: 104 900 000 Ft (295 493 €)
  • Feltöltés dátuma: 2025.07.26.
  •  
Vályogház

Eladó Ház, Tápiószele

Keresés azonosító alapján: HI-2474964
  • Tápiószele
  • Alapterület: 102 m²
  • Telekterület: 1 051 m²
  • Ár: 26 900 000 Ft (75 775 €)
  • Feltöltés dátuma: 2025.09.17.
  •  
Vályogház

Eladó Ház, Tápiószele

Keresés azonosító alapján: HI-2555607
  • Tápiószele
  • Alapterület: 60 m²
  • Telekterület: 1 196 m²
  • Ár: 34 900 000 Ft (98 310 €)
  • Feltöltés dátuma: 2026.03.27.
  •  
Facebook
Blogger
Twitter
Tweets by hasznaltingatla
Flickr